Terreno à venda

Jardim Ísis, Cotia - SP

Código: 1031
  • Venda: R$ 170.943

Venda

R$ 170.943

Anunciante

RODRIGO PEREIRA LUIZ

Telefone

(11) 99465-3311

Ao clicar em "Ver telefone", "Enviar mensagem" ou "WhatsApp", você confirma que concorda com nossos Termos de uso e Políticas de privacidade.


Descrição do imóvel

Lotes COMERCIAIS - RESERVA do Loteador, últimas unidades! ÓTIMA LOCALIZAÇÃO - Cond. Valle Verde - Km 36 Rod. Raposo Tavares

DESCRIÇÃO DO IMÓVEL:

RESERVA do Loteador - 22 Lotes remanescentes.

Últimas unidades da quadra A e lançamento da última fase da Quadra B.

Lotes comerciais na frente do Cond. Valle Verde!

Acesso pelo Km 36 da Rod. Raposo Tavares.

Corredor comercial próximo ao Centro de Cotia.

Escolha o melhor lote para o seu segmento de negócio!

Lotes prontos para venda, com documentação 100% em ordem!

Os lotes acabaram de receber novo fechamento (alambrado).

Todos individualmente demarcados e sinalizados.

Matrículas e IPTUs individualizados (vide tabela abaixo).

Documentação: 100% ok.

Financiamento bancário: permite.

PP faz financiamento direto: Entrada 30% e saldo em até 48 vezes -

PP possui modelo próprio de Contrato de Compra e Venda.

Permuta: não estuda.

Placas de imobiliárias: não permite - LOTES identificados com placas da mPm.

Visitas de Corretores: direto no local. Desejando contato como PP, solicitar via mPm whatsapp (11) 9.8105-6481 / (11) 9.8193-8800.

Estado de conservação: - lotes limpos e cercados.

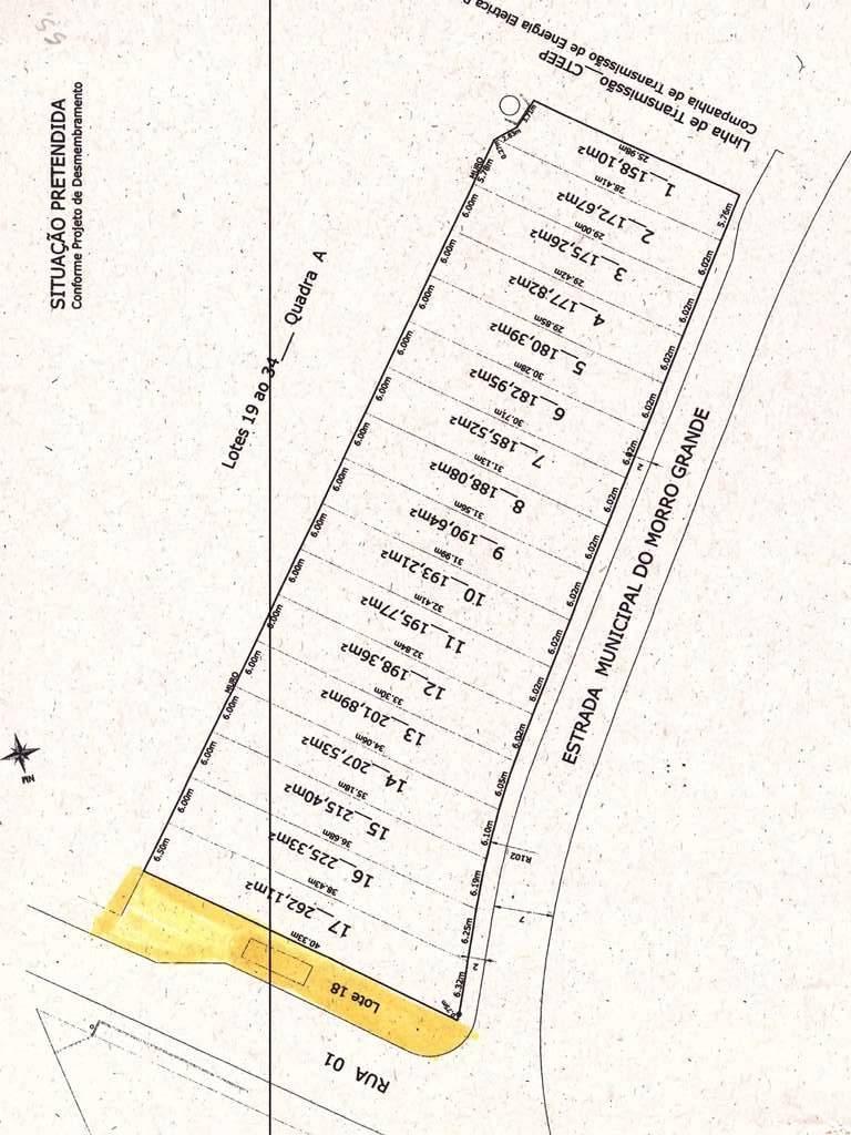
Metragens: os LOTES variam de 172,67 m² à 269,82 m²:

METRAGENS (Quadra/Lote)

A/1 - vendido

A/2 - 172,67 m²

A/3 - 175,26 m²

A/4 - 177,82 m²

A/5 - 180,39 m²

A/6 - 182,95 m²

A/7 - 185,52 m²

A/8 - 188,08 m²

A/9 - 190,64 m²

A/10 - 193,21 m²

A/11 - 195,77 m²

A/12 - 198,36 m²

A/13 - 201,89 m²

A/14 - 207,53 m²

A/15 - 215,40 m²

A/16 - 225,33 m²

A/17 - 262,11 m²

B/4 - vendido

B/5 - vendido

B/6 - vendido

B/7 - vendido

B/8 - 246,01 m²

B/9 - 255,17 m²

B/10 - 263,55 m²

B/11 - 269,82 m²

B/12 - vendido

B/13 -vendido

VALOR DE VENDA (Quadra/Lote)

R$ 990,00 / m²

A/1 - vendido

A/2 - R$ 170.943,30

A/3 - R$ 173.507,40

A/4 - R$ 176.041,80

A/5 - R$ 178.586,10

A/6 - R$ 181.120,50

A/7 - R$ 183.664,80

A/8 - R$ 186.199,20

A/9 - R$ 188.733,60

A/10 - R$ 191.277,90

A/11 - R$ 193.812,30

A/12 - R$ 196.376,40

A/13 - R$ 199.871,10

A/14 - R$ 205.454,70

A/15 - R$ 213.246,00

A/16 - R$ 223.076,70

A/17 - R$ 259.488,90

B/4 - vendido

B/5 - vendido

B/6 - vendido

B/7 - vendido

B/8 - R$ 243.549,90

B/9 - R$ 252.618,30

B/10 - vendido

B11 - vendido

B/12 - vendido

B/13 - vendido

Obs: Informações fornecidas e aprovadas pelo proprietário. Sujeitas a alteração sem aviso prévio.

Características do imóvel

Água Encanada

Energia Elétrica

Rede de Esgoto

Rua Asfaltada


Características do imóvel

Responsável pelo anúncio

Nome do anunciante: RODRIGO PEREIRA LUIZ

Telefone:

(11) 99465-3311

CRECI: 262609


Venda

R$ 170.943
Anunciante

RODRIGO PEREIRA LUIZ

Telefone

(11) 99465-3311

Ao clicar em "Ver telefone", "Enviar mensagem" ou "WhatsApp", você confirma que concorda com nossos Termos de uso e Políticas de privacidade.

Visualização no mapa

Jardim Ísis, Cotia - SP